logo设计案例有哪些?
logo设计案例有哪些?
识别性 + 独特性 + 合法性 + 象征性
这些是LOGO一直需要具备的基本因素。前两者比较容易理解了,后两者中合法性也就是能否注册成功(也有些LOGO是不需要注册的)象征性则晦涩一些,其实就是某些文化内涵等与企业紧密相关的核心理念。简单聊聊,科班出身的朋友应该会了解。非科班的朋友可通过网络或书籍了解。
上述特性,大多数情况是广泛适用的。这里可以举例一组比较典型的案例"mifansi蜂语者"

刚接到的项目,首要工作就是沟通与调研,由内到外尽可能了解全面。
最初委托方的描述这是一个非主流品牌?
…(⊙_⊙;)…
不免想到杀马特…、xx家族等等…

其实追溯源头,非主流是一种风格文化,某个角度来说也算是一种艺术形式,而且与刺青艺术、摇滚文化等都有延伸关系。但这些描述都比较模糊,隔行如隔山,需要耐心的沟通与引导。
这是主要开发经营各类刺青器材周边的,今后也会拓展到服装,饰品,人体穿刺用品等商品领域。经营模式是线上线下结合,以线上为主,国内市场与跨境市场都有涉猎。面向客群主要是刺青爱好者、摇滚音乐爱好者等时尚达人。"mifansi蜂语者"品牌名称客户是取自现有品牌的谐音,也有我的粉丝含义。
决策人希望以蜂的元素做。





经过沟通,我们会获取:品牌背景、主观喜好、经营产品、面向客群、销售模式、市场区域等等…… 这里还有个特殊情况,委托方在之前曾做过多次设计合作均未如意,决策人希望这个LOGO印在衣服上都能让人喜欢穿着。这些都与LOGO创作息息相关。
充分消化理解后,进一步明确方向,挖掘核心诉求,提炼关键词:暗黑、潮酷、蜂。
带着这些概念,再去分析他们的产品,刺青器材是怎样包装的?都可能会用到哪些工艺?以后延伸的服装饰品等也要考虑。国内外都有经营,那么需要考虑综合识别度,在思维和概念中尽量达到国内外客群都能理解,以及品牌名称中英文在国内外应用的系统关联性。就是前面提到的"识别性"
这些信息再次与上一步提炼的关键词互相核对思考。都契合,再继续调研市场与相关领域,在这过程中会获取大量的信息,我们会了解到同行的品牌是怎样推广形象的,其中哪些是比较好的,这些我们是继续秉承达到超越?还是推陈出新完全摒弃?还有很重要的一点,避免撞车。也就是前面提到的"合法性"
这些都是前期工作,方向基本明确了,开始执行表现,"蜂"元素是决策人的喜好,这点比较重要,但是怎样以蜂来诠释这个品牌。是需要实际绘制与调研的。
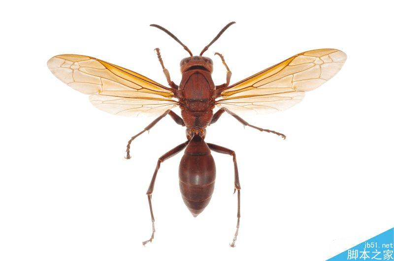
昆虫"蜂"主要有蜜蜂、胡蜂、熊蜂三大类,其中蜜蜂与熊蜂形象类似只是体积大小不同。为了避免与蜂蜜食品行业产生错觉,这两类摒弃。以胡蜂操作尝试,尽量多收集胡蜂的各类姿态,角度动作,探寻适合表现蜂语者气质。
蜜蜂

熊蜂

胡蜂
过程中发现将昆虫作为刺青题材的图形,似乎缺少了一定内涵,也就是前面提到的"象征性"思维陷入僵局……
再反复观察思考,发现正面垂直拍摄的胡蜂,翅膀与身体的结构如果图形化,很像一个人的面部鼻子与眼睛。

"蜂语者""者"就是人物概念。刺青文化题材多是宗教、黑暗、力量、神圣相关的题材。影视作品中的恶魔,就是人的形象邪恶黑化的。这也许是个创意突破点。于是调研恶魔相关的形象参考,将代表性的骷髅头骨的鼻眼脸颊部分,与胡蜂的正面相互重叠调试。



